Septiembre 9,2017 / 12:25pm
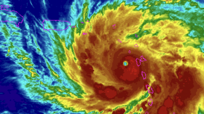
Islas de Sotavento quedan al margen de la furia de José, mientras Cuba recibe el azote de Irma.
Las Islas de Sotavento, al noreste del Caribe, quedaron al margen de la furia de Jose. Afortunadamente, los vientos fuertes y las lluvias más intensas quedaron sobre el océano...